
안녕 하세요?
홍원항 요포낚시 입니다!!
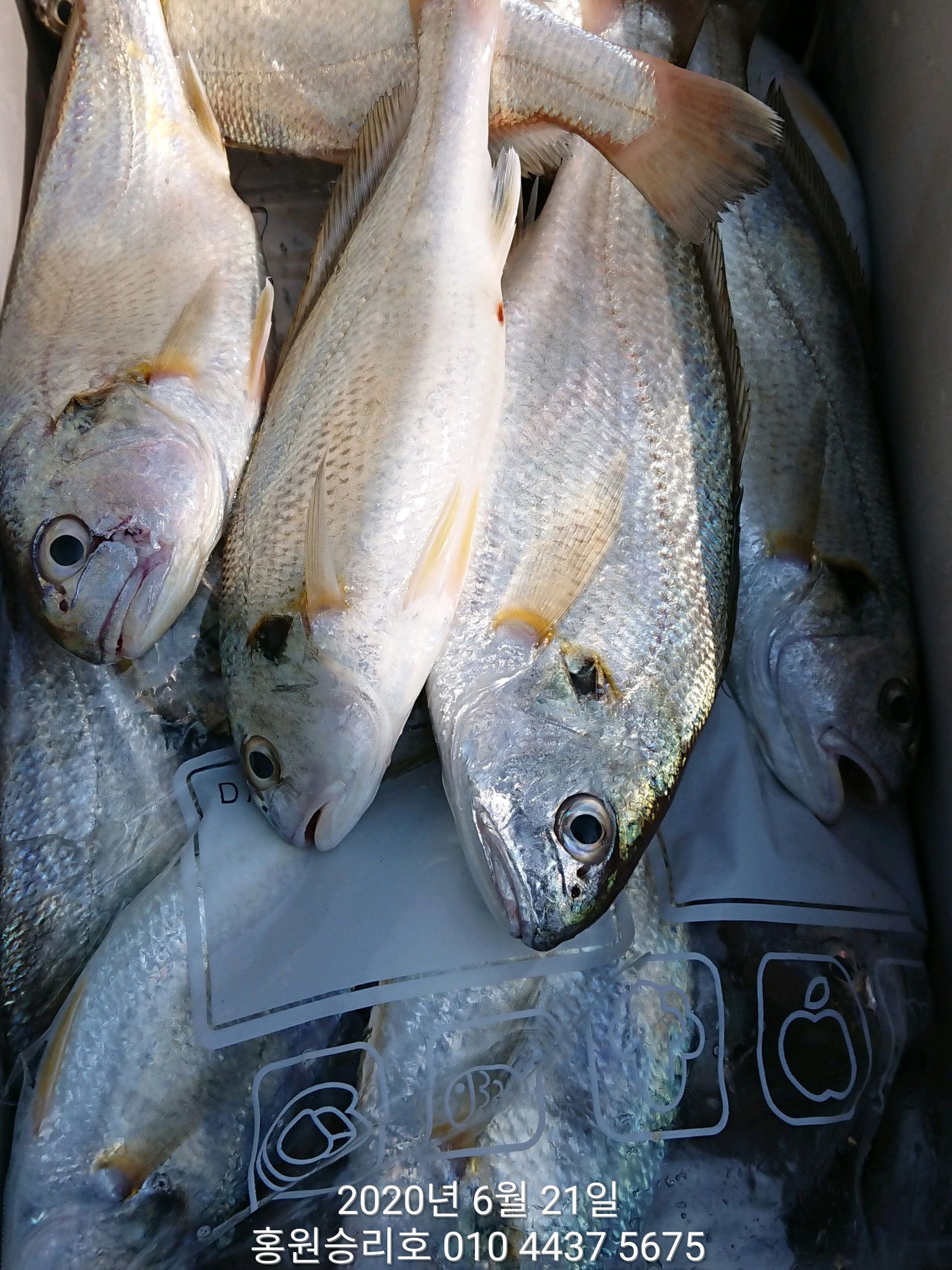
오늘은 승리호 김선장님 백조기 사냥 다녀왔습니다!!
무더운 날씨에 나오는 씨알좋은 백조기로 쿨러들 채우고 입항 하얐습니다~~
더운 날씨에도 호조황에 수고하신 조사님들 안녕히 가시고
다음 기회에 뵙겠습니다!!
***** 오늘의 대상은 선장님의 통큰 시상으로 (무료 승선권) 2분이 선정 되셨네요!! ( 2분의 조사님들 *행운* 에 축하 드립니다!!*****




*****기다리시던 2020년도 쭈꾸미&갑오징어 낚시 출조예약이 6월1일 부터 시작되었습니다!!****
~~쭈꾸미낚시 예약은 쭈꾸미낚시의 *원조* 홍원항으로 오십시요!!~~
~~저희 요포선단은 쭈꾸미 선비만 받고 갑오징어 낚시도 병행 합니다~~
~~~신분증 지참하지 않으신분은 승선을 하지못하니 꼭 지참하세요~~~
( 신분증 지참하지않아서 승선 못하시면 환불도 되지않습니다!!)
***요포낚시에서는 쭈꾸미 채비/참돔 타이러버/ 모든 채비를 초대박 세일가격으로 판매하고 있습니다!!***
*** 생미끼 (다잡아) 출조예약 접수중*** (~~대박~~ 이벤트 진행중!!)
*** 백조기&부서 출조 예약 접수중 *** (~~대박~~ 이벤트 진행중!!)
***참돔 타이러버 출조예약 접수중***
***광어 다운샷 출조예약 접수중***
***우럭 * 광어 어초낚시 출조예약 접수중***
저희 요포선단은 항상 최선을다해 최고의 조황으로 보답 하겠습니다!!
**조황정보와 선상낚시 예약은 고객을 위해 최선을 다하는 홍원항 요포낚시로.....
휴 대 폰 : 010-4437-5675 일반: 041-953-5675
네비주소 : 충남 서천군 서면 도둔리 860-2번지
홈페이지 : http://yopofishing.kr (네이버:요포낚시)
*(수도권 지역 낚시전용 리무진 버스운행)* ~~010-4572-1516 (요포낚시) 가신다고 문의하세요~~~~




