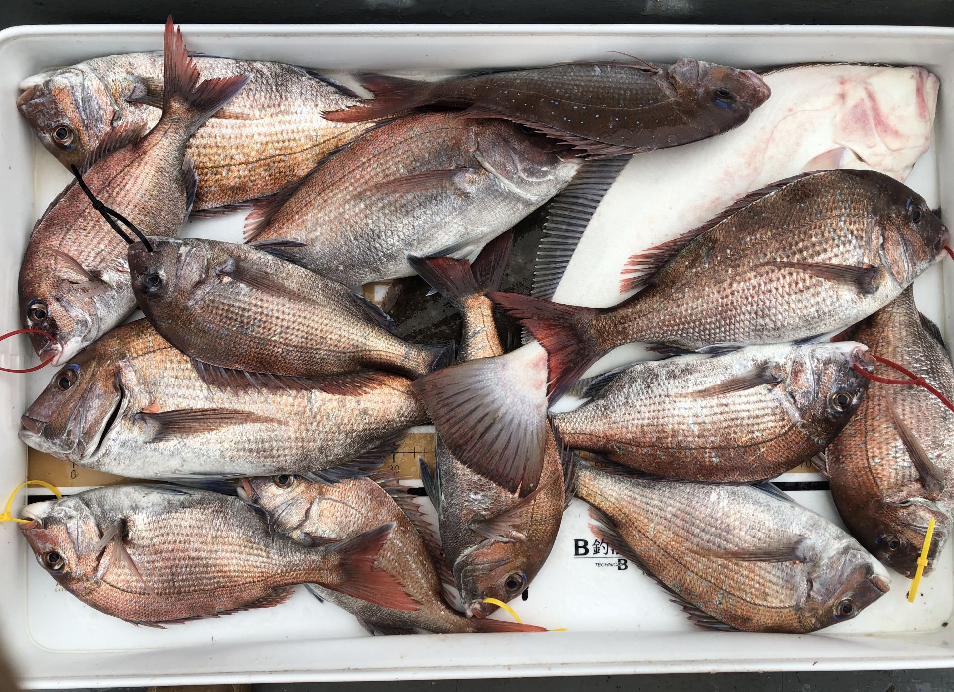
5월26일 한울피싱 참돔 타이러버 조황!~!

 


안녕하세요?


홍원항 요포낚시입니다!!


컴퓨터에 문제가 생겨서 조황이 늦은점 사과드립니다~~


한울피싱 변선장님 오늘도 홧~팅~ 조황입니다!!


함께 호조황에 수고하신 조사님들 안녕히 가시고 다음 기회에 뵙겠습니다 ~!!



 ~~~신분증 지참하지 않으신분은 승선을 하지못하니 꼭 지참하세요~~~

   ( 신분증 지참하지않아서 승선 못하시면 환불도 되지않습니다!!)


***요포낚시에서는 쭈꾸미 채비/참돔 타이러버/ 모든 채비를 초대박 세일가격으로 판매하고 있습니다!!***


***생미끼 농어/광어/우럭 (다잡어) 첫출조 이벤트로 5월25일 부터 (선비+미끼=10만원)출조예약 접수중***


***참돔 타이러버 출조예약 접수중***


***광어 다운샷 출조예약 접수중***


***우럭 어초낚시 출조예약 접수중***

              
 저희 요포선단은 항상 최선을다해 최고의 조황으로 보답 하겠습니다!!
   
     
 **조황정보와 선상낚시 예약은 고객을 위해 최선을 다하는 홍원항 요포낚시로.....

휴 대 폰 : 010-4437-5675   일반: 041-953-5675


네비주소 : 충남 서천군 서면 도둔리  860-2번지


홈페이지 : http://yopofishing.kr (네이버:요포낚시)


 *(수도권 지역 낚시전용 리무진 버스운행)*  ~~010-4572-1516 (요포낚시) 가신다고 문의하세요~~~~

~~ 출조하시는 조사님들께는 요포낚시에서 얼음 생수를 꽁짜로 드립니다!!~~













 

captcha
자동등록방지 숫자를 순서대로 입력하세요.

조황정보

번호 제목 글쓴이 날짜 조회수
34

6월5일 청길호 참돔 ~대박~조황!!

안녕하세요? 홍원항 요포낚시입니다!! 요포선단 청길호 김선장님 오늘 소수의 조사님과 참돔사냥 굿~굿~~굿~~아침에 약간 긴장되는 상황인지라 조심스럽게 포인트에 진입~~ 한동안 마릿수 조황이 살아나지않아 조바심은 점~점~~그러나 노련하신 김선장님 물이 살아나면서 정확한 포인트찿아 낚아올린 조황입니다!! 잠깐의 찬스를 기회로 여기.저기서 ~더불~ 트리풀~ 난리가 났습니다!!반가움에 김선장님 여기 .저기를 뜰채들고 뛰고.또뒤고 (?)떨어질뻔한 하루입니다^^^^^ 우짜든 하루 ~대박~ 조황에 수고하신 본전 낚시 신총무님과 회원님들 감사드리며가시는 목적지 안전운행 부탁드리고다음 기회에 뵙겠습니다!!    ***** 기다리시던 2018년도 쭈꾸미&갑오징어 예약이 시작 되였습니다!!***** ~~~신분증 지참하지 않으신분은 승선을 하지못하니 꼭 지참하세요~~~   ( 신분증 지참하지않아서 승선 못하시면 환불도 되지않습니다!!)***저희 요포낚시에서는 무더운 날씨에 얼음 생수를 ~꽁짜~로 드립니다!!***     ~~저희 요포선단은 쭈꾸미 선비만 받고 갑오징어 낚시도 병행 합니다~~  ~~ 요포낚시에서는 쭈꾸미 채비를 최저 초대박 쎄일가격으로 판매하고 있습니다!!~~***참돔 타이러버 출조예약 접수중******광어 다운샷 출조예약 접수중******우럭 어초낚시 출조예약 접수중***                저희 요포선단은 항상 최선을다해 최고의 조황으로 보답 하겠습니다!!           **조황정보와 선상낚시 예약은 고객을 위해 최선을 다하는 홍원항 요포낚시로.....휴 대 폰 : 010-4437-5675   일반: 041-953-5675네비주소 : 충남 서천군 서면 도둔리  860-2번지홈페이지 : http://yopofishing.kr (네이버:요포낚시) *(수도권 지역 낚시전용 리무진 버스운행)*  ~~010-4572-1516 (요포낚시) 가신다고 문의하세요~~~~ 

바다사랑 10-25 1,989
33

6/3 승리호 왕우럭 쿨러 조황!!

안녕하세요? 홍원항 요포낚시입니다!! 승리호 김선장님 왕우럭 쿨러 조황입니다!!오늘은 씨알좋은 우럭으로 손맛들 찐하게 보고 조기 입항하셨군요~~ 오늘도  조황에 수고하신 청주 매일낚시 정사장님과  낚시 회원님들 안녕히 가시고다음 기회에 뵙겠습니다!!     ***** 기다리시던 2018년도 쭈꾸미&갑오징어 예약이 시작 되였습니다!!***** ~~~신분증 지참하지 않으신분은 승선을 하지못하니 꼭 지참하세요~~~   ( 신분증 지참하지않아서 승선 못하시면 환불도 되지않습니다!!)***저희 요포낚시에서는 무더운 날씨에 얼음 생수를 ~꽁짜~로 드립니다!!***     ~~저희 요포선단은 쭈꾸미 선비만 받고 갑오징어 낚시도 병행 합니다~~  ~~ 요포낚시에서는 쭈꾸미 채비를 최저 초대박 쎄일가격으로 판매하고 있습니다!!~~***참돔 타이러버 출조예약 접수중******광어 다운샷 출조예약 접수중******우럭 어초낚시 출조예약 접수중***                저희 요포선단은 항상 최선을다해 최고의 조황으로 보답 하겠습니다!!           **조황정보와 선상낚시 예약은 고객을 위해 최선을 다하는 홍원항 요포낚시로.....휴 대 폰 : 010-4437-5675   일반: 041-953-5675네비주소 : 충남 서천군 서면 도둔리  860-2번지홈페이지 : http://yopofishing.kr (네이버:요포낚시) *(수도권 지역 낚시전용 리무진 버스운행)*  ~~010-4572-1516 (요포낚시) 가신다고 문의하세요~~~~   

바다사랑 10-25 2,053
32

6/2일 한울피싱 참돔

안녕하세요? 홍원항 요포낚시입니다!! 요포선단 한울피싱 변선장님 어제는 큰 누님 가족과 함께^^^^^오늘은 작은 누님 가족과함께 바다여행 다녀오신 소식입니다!! 어제와같이 조황이라고 말씀 드리기는 그래도 어제와 같이 참돔과의 만남을 엄청나게 기뻐하며하루를 마무리하신 소식입니다!! 오늘도 선상여행에 기쁨을 만끽하고 돌아가시는 선장님 가족분들 안녕히 가시고다음 기회에 뵙겠습니다!!     ***** 기다리시던 2018년도 쭈꾸미&갑오징어 예약이 시작 되였습니다!!***** ~~~신분증 지참하지 않으신분은 승선을 하지못하니 꼭 지참하세요~~~   ( 신분증 지참하지않아서 승선 못하시면 환불도 되지않습니다!!)***저희 요포낚시에서는 무더운 날씨에 얼음 생수를 ~꽁짜~로 드립니다!!***     ~~저희 요포선단은 쭈꾸미 선비만 받고 갑오징어 낚시도 병행 합니다~~  ~~ 요포낚시에서는 쭈꾸미 채비를 최저 초대박 쎄일가격으로 판매하고 있습니다!!~~***참돔 타이러버 출조예약 접수중******광어 다운샷 출조예약 접수중******우럭 어초낚시 출조예약 접수중***                저희 요포선단은 항상 최선을다해 최고의 조황으로 보답 하겠습니다!!           **조황정보와 선상낚시 예약은 고객을 위해 최선을 다하는 홍원항 요포낚시로.....휴 대 폰 : 010-4437-5675   일반: 041-953-5675네비주소 : 충남 서천군 서면 도둔리  860-2번지홈페이지 : http://yopofishing.kr (네이버:요포낚시) *(수도권 지역 낚시전용 리무진 버스운행)*  ~~010-4572-1516 (요포낚시) 가신다고 문의하세요~~~~  

바다사랑 10-25 1,988
31

6월1일 한울피싱 선장님 가족과 함께한 ~참돔~ 조황 입니다!!!!

안녕하세요? 홍원항 요포낚시입니다!! 오늘은 한울피싱 선장님 가족과 지인분들의 바다 소풍 다녀온 소식입니다!!조황이라고 말하기는 좀 그렀습니다^^^^^ 낚시대를 처음 접한다는분들이 미녀 얼굴만 보고 ~꽝~ 조황이지만선상에서는 기쁨과 환호성으로 하루를 만끽하고 입항하신 즐거운 바다소풍 입니다~~ 하루를 즐겁게 보내시고 돌아가시는 변선장님 가족과 지인분들안녕히 가시고 다음기회에 뵙겠습니다!!  ~~~신분증 지참하지 않으신분은 승선을 하지못하니 꼭 지참하세요~~~   ( 신분증 지참하지않아서 승선 못하시면 환불도 되지않습니다!!)***저희 요포낚시에서는 무더운 날씨에 얼음 생수를 ~꽁짜~로 드립니다!!***     ~~저희 요포선단은 쭈꾸미 선비만 받고 갑오징어 낚시도 병행 합니다~~  ~~ 요포낚시에서는 쭈꾸미 채비를 최저 초대박 쎄일가격으로 판매하고 있습니다!!~~***참돔 타이러버 출조예약 접수중******광어 다운샷 출조예약 접수중******우럭 어초낚시 출조예약 접수중***                저희 요포선단은 항상 최선을다해 최고의 조황으로 보답 하겠습니다!!           **조황정보와 선상낚시 예약은 고객을 위해 최선을 다하는 홍원항 요포낚시로.....휴 대 폰 : 010-4437-5675   일반: 041-953-5675네비주소 : 충남 서천군 서면 도둔리  860-2번지홈페이지 : http://yopofishing.kr (네이버:요포낚시) *(수도권 지역 낚시전용 리무진 버스운행)*  ~~010-4572-1516 (요포낚시) 가신다고 문의하세요~~~~ 

바다사랑 10-25 1,961
30

5/28 청길호 왕우럭&광어 조황!!

안녕하세요? 홍원항 요포낚시입니다!! 청길호 김선장님 광어&우럭 조황입니다!! 조황에 수고하신 청주매일낚시 회원님들 수고하셨고 다음기회에 뵙겠습니다~~ <font size=5 color=red>오늘</font> ~~~신분증 지참하지 않으신분은 승선을 하지못하니 꼭 지참하세요~~~   ( 신분증 지참하지않아서 승선 못하시면 환불도 되지않습니다!!)***왕우럭&광어 출조가 시작되었습니다!!(예약 접수중)**     ~~저희 요포선단은 쭈꾸미 선비만 받고 갑오징어 낚시도 병행 합니다~~  ~~ 요포낚시에서는 쭈꾸미 채비를 최저 초대박 쎄일가격으로 판매하고 있습니다!!~~***참돔 타이러버 출조예약 접수중******광어 다운샷 출조예약 접수중******우럭 어초낚시 출조예약 접수중***                저희 요포선단은 항상 최선을다해 최고의 조황으로 보답 하겠습니다!!           **조황정보와 선상낚시 예약은 고객을 위해 최선을 다하는 홍원항 요포낚시로.....휴 대 폰 : 010-4437-5675   일반: 041-953-5675네비주소 : 충남 서천군 서면 도둔리  860-2번지홈페이지 : http://yopofishing.kr (네이버:요포낚시) *(수도권 지역 낚시전용 리무진 버스운행)*  ~~010-4572-1516 (요포낚시) 가신다고 문의하세요~~~~ 

바다사랑 10-25 1,986
29

5/27 한울피싱 참돔 조황!!

안녕하세요? 홍원항 요포낚시입니다!! 오늘도 핝울피싱 소수의인원만으로 참돔사냥 다녀왔습니다!! 그리 만족할만한 조황은 되지 못하지만 나름 손맛들 보시고 입항 하였습니다~~ 조황에 수고하신 조사님들 안녕히 가시고다음 기회에 뵙겠습니다!!   ~~~신분증 지참하지 않으신분은 승선을 하지못하니 꼭 지참하세요~~~   ( 신분증 지참하지않아서 승선 못하시면 환불도 되지않습니다!!)***왕우럭&광어 출조가 시작되었습니다!!(예약 접수중)**     ~~저희 요포선단은 쭈꾸미 선비만 받고 갑오징어 낚시도 병행 합니다~~  ~~ 요포낚시에서는 쭈꾸미 채비를 최저 초대박 쎄일가격으로 판매하고 있습니다!!~~***참돔 타이러버 출조예약 접수중******광어 다운샷 출조예약 접수중******우럭 어초낚시 출조예약 접수중***                저희 요포선단은 항상 최선을다해 최고의 조황으로 보답 하겠습니다!!           **조황정보와 선상낚시 예약은 고객을 위해 최선을 다하는 홍원항 요포낚시로.....휴 대 폰 : 010-4437-5675   일반: 041-953-5675네비주소 : 충남 서천군 서면 도둔리  860-2번지홈페이지 : http://yopofishing.kr (네이버:요포낚시) *(수도권 지역 낚시전용 리무진 버스운행)*  ~~010-4572-1516 (요포낚시) 가신다고 문의하세요~~~~    

바다사랑 10-25 1,933
28 바다사랑 10-25 1,995
27

한울피싱호 7짜 참돔 랜딩 동영상

http://yopofishing.kr/yopo/bbs/link.php?bo_table=harvest&wr_id=378&no=1&page=14 

바다사랑 10-25 1,942
26

5/22 한울피싱 4분의 참돔 조황!~!

안녕하세요? 홍원항 요포낚시 입니다!! 한울피싱 오늘은 4분의 조사님을 모시고 미녀들과의 만남으로 줄거운 하루입니다^^^^^출조하신 조사님들 전원 손맛들 찐~하~게 보시고 만족한 조황입니다!! 오늘은 낚시에 첫 도전하신 한울피싱 사모님도 준수한 씨알로 홧~팅~하심을 축하 드립니다~~ 오늘도 조황에 수고하신 4분의 조사님들 감사드리며 안녕히 가시고다음 기회에 뵙겠습니다!!   ~~~신분증 지참하지 않으신분은 승선을 하지못하니 꼭 지참하세요~~~   ( 신분증 지참하지않아서 승선 못하시면 환불도 되지않습니다!!)***왕우럭&광어 출조가 시작되었습니다!!(예약 접수중)**     ~~저희 요포선단은 쭈꾸미 선비만 받고 갑오징어 낚시도 병행 합니다~~  ~~ 요포낚시에서는 쭈꾸미 채비를 최저 초대박 쎄일가격으로 판매하고 있습니다!!~~***참돔 타이러버 출조예약 접수중******광어 다운샷 출조예약 접수중******우럭 어초낚시 출조예약 접수중***                저희 요포선단은 항상 최선을다해 최고의 조황으로 보답 하겠습니다!!           **조황정보와 선상낚시 예약은 고객을 위해 최선을 다하는 홍원항 요포낚시로.....휴 대 폰 : 010-4437-5675   일반: 041-953-5675네비주소 : 충남 서천군 서면 도둔리  860-2번지홈페이지 : http://yopofishing.kr (네이버:요포낚시) *(수도권 지역 낚시전용 리무진 버스운행)*  ~~010-4572-1516 (요포낚시) 가신다고 문의하세요~~~~  

바다사랑 10-25 2,003
25

5월20일 한울피싱 첫 탐사에서 ~대물~ 참돔과 마릿수 조황!!

안녕하세요? 홍원항 요포낚시입니다!! 요포선단 한울피싱 변선장님 몇분의 지인분들과 참돔 첫 탐사조황 올려봅니다!!첫탐사에서 8짜 가까운 대물급과 흡족한 마릿수 조황입니다^^^^^출조하신 조사님들 모두가  미녀들과 줄거운 헌팅으로 마무리 하였습니다~~ 앞으로 더욱더 좋은 조황을 기대하며 출조에 홧~팅~하신 조사님들 안녕히 가시고다음 기회에 뵙겠습니다!! 바다 상황이 점점 안정을 찿아 가면서 미녀들이 여행을 시작하여서 조사님들 헌팅을 기다리고 있으니많이들 오셔서 하루의 즐거움을 만끽하시기 바랍니다~~  ~~~신분증 지참하지 않으신분은 승선을 하지못하니 꼭 지참하세요~~~   ( 신분증 지참하지않아서 승선 못하시면 환불도 되지않습니다!!)***왕우럭&광어 출조가 시작되었습니다!!(예약 접수중)**     ~~저희 요포선단은 쭈꾸미 선비만 받고 갑오징어 낚시도 병행 합니다~~  ~~ 요포낚시에서는 쭈꾸미 채비를 최저 초대박 쎄일가격으로 판매하고 있습니다!!~~***참돔 타이러버 출조예약 접수중******광어 다운샷 출조예약 접수중******우럭 어초낚시 출조예약 접수중***                저희 요포선단은 항상 최선을다해 최고의 조황으로 보답 하겠습니다!!           **조황정보와 선상낚시 예약은 고객을 위해 최선을 다하는 홍원항 요포낚시로.....휴 대 폰 : 010-4437-5675   일반: 041-953-5675네비주소 : 충남 서천군 서면 도둔리  860-2번지홈페이지 : http://yopofishing.kr (네이버:요포낚시) *(수도권 지역 낚시전용 리무진 버스운행)*  ~~010-4572-1516 (요포낚시) 가신다고 문의하세요~~~~ 

바다사랑 10-25 2,090
24

5/13 한울피싱 대광어 사냥!!

안녕하세요? 홍원항 요포낚시입니다!! 요포선단 한울피싱 선장님 과지인분의 광어 다운샷 탐사조황입니다!! 잠깐의 탐사라서 많은 마릿수는 아니지만 8짜 자리 대광어가 오늘의 조황을 축하해주는 군요^^^^^ 하루 하루 조황을 위해 수고하시는 한울피싱 선장님 감사드리며 앞으로의 더욱더 홧~팅~을 기대합니다~~  ~~~신분증 지참하지 않으신분은 승선을 하지못하니 꼭 지참하세요~~~   ( 신분증 지참하지않아서 승선 못하시면 환불도 되지않습니다!!)***왕우럭&광어 출조가 시작되었습니다!!(예약 접수중)**     ~~저희 요포선단은 쭈꾸미 선비만 받고 갑오징어 낚시도 병행 합니다~~  ~~ 요포낚시에서는 쭈꾸미 채비를 최저 초대박 쎄일가격으로 판매하고 있습니다!!~~***참돔 타이러버 출조예약 접수중******광어 다운샷 출조예약 접수중******우럭 어초낚시 출조예약 접수중***                저희 요포선단은 항상 최선을다해 최고의 조황으로 보답 하겠습니다!!           **조황정보와 선상낚시 예약은 고객을 위해 최선을 다하는 홍원항 요포낚시로.....휴 대 폰 : 010-4437-5675   일반: 041-953-5675네비주소 : 충남 서천군 서면 도둔리  860-2번지홈페이지 : http://yopofishing.kr (네이버:요포낚시) *(수도권 지역 낚시전용 리무진 버스운행)*  ~~010-4572-1516 (요포낚시) 가신다고 문의하세요~~~~ 

바다사랑 10-25 2,002
23

5월9일 승리호 왕우럭/광어 조황!!

안녕하세요? 홍원항 요포낚시입니다!! 요포선단 승리호 김선장님 오늘도 왕우럭과 씨알좋은 광어로 만족한 쿨러 조황입니다!! 계속되는 호조황이니 그동안 망설이시던 조사님들 출조일정 잡으셔도 충분할듯 합니다~~ 동참하실 조사님들 은 연락 바랍니다!! 오늘도 호조황에 수고하신 조사님들 안녕히 가시고다음 기회에 뵙겠습니다~~~~~신분증 지참하지 않으신분은 승선을 하지못하니 꼭 지참하세요~~~   ( 신분증 지참하지않아서 승선 못하시면 환불도 되지않습니다!!)***왕우럭&광어 출조가 시작되었습니다!!(예약 접수중)**     ~~저희 요포선단은 쭈꾸미 선비만 받고 갑오징어 낚시도 병행 합니다~~  ~~ 요포낚시에서는 쭈꾸미 채비를 최저 초대박 쎄일가격으로 판매하고 있습니다!!~~***참돔 타이러버 출조예약 접수중******광어 다운샷 출조예약 접수중******우럭 어초낚시 출조예약 접수중***                저희 요포선단은 항상 최선을다해 최고의 조황으로 보답 하겠습니다!!           **조황정보와 선상낚시 예약은 고객을 위해 최선을 다하는 홍원항 요포낚시로.....휴 대 폰 : 010-4437-5675   일반: 041-953-5675네비주소 : 충남 서천군 서면 도둔리  860-2번지홈페이지 : http://yopofishing.kr (네이버:요포낚시) *(수도권 지역 낚시전용 리무진 버스운행)*  ~~010-4572-1516 (요포낚시) 가신다고 문의하세요~~~~  

바다사랑 10-25 2,070
22

5월7일 승리호 왕우럭&광어 조황!!

안녕하세요? 홍원항 요포낚시 입니다!! 요포선단 승리호 김선장님 오늘도 홧~팅~하신 조황입니다!! 아침 출항때 내리던 비로 걱정이 많이되는 출항.......그러나 외연도권 포인트에 도착하자 그치는 비로 선장님 마음이 급해지기시작~~ 걱정하는 마음도 잠시 선장님의 노련한 포인트 진입으로 6짜 가까운 왕우럭과연이은 쌍걸이 씨알좋은 광어로 마무리한 기분좋은 조황입니다!! 오늘도 호조황에 수고하신 조사님들 안녕히 가시고다음 기회에 뵙겠습니다~~ <font size=5 color=red>오늘</font> ~~~신분증 지참하지 않으신분은 승선을 하지못하니 꼭 지참하세요~~~   ( 신분증 지참하지않아서 승선 못하시면 환불도 되지않습니다!!)***왕우럭&광어 출조가 시작되었습니다!!(예약 접수중)**     ~~저희 요포선단은 쭈꾸미 선비만 받고 갑오징어 낚시도 병행 합니다~~  ~~ 요포낚시에서는 쭈꾸미 채비를 최저 초대박 쎄일가격으로 판매하고 있습니다!!~~***참돔 타이러버 출조예약 접수중******광어 다운샷 출조예약 접수중******우럭 어초낚시 출조예약 접수중***                저희 요포선단은 항상 최선을다해 최고의 조황으로 보답 하겠습니다!!           **조황정보와 선상낚시 예약은 고객을 위해 최선을 다하는 홍원항 요포낚시로.....휴 대 폰 : 010-4437-5675   일반: 041-953-5675네비주소 : 충남 서천군 서면 도둔리  860-2번지홈페이지 : http://yopofishing.kr (네이버:요포낚시) *(수도권 지역 낚시전용 리무진 버스운행)*  ~~010-4572-1516 (요포낚시) 가신다고 문의하세요~~~~ 

바다사랑 10-25 2,041
21

5/1한울피싱 농어사냥!!

안녕하세요? 홍원항 요포낚시 입니다!! 오늘은 요포선단 한울피싱 지인 분들과 선상 나들이 다녀오신 소식입니다!!출조하신 지인 분들이 왕초보분들이라서 뭐 조황은농어 한마리와 잡어로 마무리하신 조과입니다!! 그래도 선상에서는 선장님 과 지인 분들이 준비해오신 음식으로하루의 행복을 느끼는 선상파티가 보기좋아 보입니다!! 오늘도 수고하신 하울피싱 선장님과 지인분들 감사드리고며 다음기회에 뵙겠습니다!! <font size=5 color=red>오늘</font> ~~~신분증 지참하지 않으신분은 승선을 하지못하니 꼭 지참하세요~~~   ( 신분증 지참하지않아서 승선 못하시면 환불도 되지않습니다!!)***왕우럭&광어 출조가 시작되었습니다!!(예약 접수중)**     ~~저희 요포선단은 쭈꾸미 선비만 받고 갑오징어 낚시도 병행 합니다~~  ~~ 요포낚시에서는 쭈꾸미 채비를 최저 초대박 쎄일가격으로 판매하고 있습니다!!~~***참돔 타이러버 출조예약 접수중******광어 다운샷 출조예약 접수중******우럭 어초낚시 출조예약 접수중***                저희 요포선단은 항상 최선을다해 최고의 조황으로 보답 하겠습니다!!           **조황정보와 선상낚시 예약은 고객을 위해 최선을 다하는 홍원항 요포낚시로.....휴 대 폰 : 010-4437-5675   일반: 041-953-5675네비주소 : 충남 서천군 서면 도둔리  860-2번지홈페이지 : http://yopofishing.kr (네이버:요포낚시) *(수도권 지역 낚시전용 리무진 버스운행)*  ~~010-4572-1516 (요포낚시) 가신다고 문의하세요~~~~

바다사랑 10-25 2,049
20

5월1일 승리호 우럭&광어 조황!!

안녕하세요? 홍원항 요포낚시입니다!! 요포선단 승리호 김선장님 청주매일낚시 회원님들 모시고기분좋은 조황올려 봅니다!! 출조하신 조사님들 모두가 씨알좋은 광어와 우럭으로 손맛 찐하게 보시고조기 입항하신 조황입니다^^^^^^ 금년도 첫출조에 수고하신 청주 매일낚시 회원님들께 감사드리고다음 출조에는 더욱더 대박조황을 기대하며 안녕히 가십시요~~  ~~~신분증 지참하지 않으신분은 승선을 하지못하니 꼭 지참하세요~~~   ( 신분증 지참하지않아서 승선 못하시면 환불도 되지않습니다!!)***왕우럭&광어 출조가 시작되었습니다!!(예약 접수중)**     ~~저희 요포선단은 쭈꾸미 선비만 받고 갑오징어 낚시도 병행 합니다~~  ~~ 요포낚시에서는 쭈꾸미 채비를 최저 초대박 쎄일가격으로 판매하고 있습니다!!~~***참돔 타이러버 출조예약 접수중******광어 다운샷 출조예약 접수중******우럭 어초낚시 출조예약 접수중***                저희 요포선단은 항상 최선을다해 최고의 조황으로 보답 하겠습니다!!           **조황정보와 선상낚시 예약은 고객을 위해 최선을 다하는 홍원항 요포낚시로.....휴 대 폰 : 010-4437-5675   일반: 041-953-5675네비주소 : 충남 서천군 서면 도둔리  860-2번지홈페이지 : http://yopofishing.kr (네이버:요포낚시) *(수도권 지역 낚시전용 리무진 버스운행)*  ~~010-4572-1516 (요포낚시) 가신다고 문의하세요~~~~ 

바다사랑 10-25 2,041
19

4/29 한울피싱 시범 조황입니다!!

안녕하세요? 홍원항 요포낚시입니다!! 한을피싱 요포선단 가족동참후 선장남과 지인분이선박 점검차 잠시 바다에 다녀오신 소식 입니다!! 조황 이라고 말씀 드리기는 그렇고요요포선단에 한울피싱을 소게하는 자리가되고 많은 사랑과 격려로찾아 주시길 부탁드립니다~~ 한울피싱 선장님 첫출항 수고하셨고 앞으로 홧~팅~ 조황을 기대합니다!!  ~~~신분증 지참하지 않으신분은 승선을 하지못하니 꼭 지참하세요~~~   ( 신분증 지참하지않아서 승선 못하시면 환불도 되지않습니다!!)***왕우럭&광어 출조가 시작되었습니다!!(예약 접수중)**     ~~저희 요포선단은 쭈꾸미 선비만 받고 갑오징어 낚시도 병행 합니다~~  ~~ 요포낚시에서는 쭈꾸미 채비를 최저 초대박 쎄일가격으로 판매하고 있습니다!!~~***참돔 타이러버 출조예약 접수중******광어 다운샷 출조예약 접수중******우럭 어초낚시 출조예약 접수중***                저희 요포선단은 항상 최선을다해 최고의 조황으로 보답 하겠습니다!!           **조황정보와 선상예약은 고객을 위해 최선을 다하는 홍원항 요포낚시로.....휴 대 폰 : 010-4437-5675   일반: 041-953-5675네비주소 : 충남 서천군 서면 도둔리  860-2번지홈페이지 : http://yopofishing.kr (네이버:요포낚시) *(수도권 지역 낚시전용 리무진 버스운행)*  ~~010-4572-1516 (요포낚시) 가신다고 문의하세요~~~~

바다사랑 10-25 2,014
18

4/26 승리호 우럭 쿨러 조황입니다!!

안녕하세요?홍원항 요포낚시입니다!! 요포선단 승리호 김선장님 오늘도 홧~팅 조황입니다!!아직도 조황은 만족하진 않지만 나름대로 쿨러사진은 ^^^^^^ 계속해서 조금씩 살아나는 조황이니 출조를 망설이시던 조사님들도출조계획을 세우셔도 좋을듯 합니다!! 씨즌 초반이라 주말과 휴일에도 자리여유 있습니다!! 오늘도 조황에 수고하신 조사님들 감사드리며 안녕히 가시고다음 기회에 뵙겠습니다~~  ~~~신분증 지참하지 않으신분은 승선을 하지못하니 꼭 지참하세요~~~   ( 신분증 지참하지않아서 승선 못하시면 환불도 되지않습니다!!)***왕우럭&광어 출조가 시작되었습니다!!(예약 접수중)**     ~~저희 요포선단은 쭈꾸미 선비만 받고 갑오징어 낚시도 병행 합니다~~  ~~ 요포낚시에서는 쭈꾸미 채비를 최저 초대박 쎄일가격으로 판매하고 있습니다!!~~***참돔 타이러버 출조예약 접수중******광어 다운샷 출조예약 접수중******우럭 어초낚시 출조예약 접수중***                저희 요포선단은 항상 최선을다해 최고의 조황으로 보답 하겠습니다!!           **조황정보와 선상예약은 고객을 위해 최선을 다하는 홍원항 요포낚시로.....휴 대 폰 : 010-4437-5675   일반: 041-953-5675네비주소 : 충남 서천군 서면 도둔리  860-2번지홈페이지 : http://yopofishing.kr (네이버:요포낚시) *(수도권 지역 낚시전용 리무진 버스운행)*  ~~010-4572-1516 (요포낚시) 가신다고 문의하세요~~~~      

바다사랑 10-25 2,269
17

4/25 승리호 우럭&광어 조황!!

안녕하세요? 홍원항 요포낚시 입니다!! 요포선단 승리호 우럭 어초낚시 조황 입니다!!출조하신 조사님들 모두 손맛 보시고 입항하신 조과입니다~~ 조황에 수고하신 조사님들 안녕히 가시고다음 기회에 뵙겠습니다!!  ~~~신분증 지참하지 않으신분은 승선을 하지못하니 꼭 지참하세요~~~   ( 신분증 지참하지않아서 승선 못하시면 환불도 되지않습니다!!)***왕우럭&광어&열기 출조가 시작되었습니다!!(예약 접수중)**     ~~저희 요포선단은 쭈꾸미 선비만 받고 갑오징어 낚시도 병행 합니다~~  ~~ 요포낚시에서는 쭈꾸미 채비를 최저 초대박 쎄일가격으로 판매하고 있습니다!!~~***참돔 타이러버 출조예약 접수중******광어 다운샷 출조예약 접수중******우럭 어초낚시 출조예약 접수중***                저희 요포선단은 항상 최선을다해 최고의 조황으로 보답 하겠습니다!!           **조황정보와 선상예약은 고객을 위해 최선을 다하는 홍원항 요포낚시로.....휴 대 폰 : 010-4437-5675   일반: 041-953-5675네비주소 : 충남 서천군 서면 도둔리  860-2번지홈페이지 : http://yopofishing.kr (네이버:요포낚시) *(수도권 지역 낚시전용 리무진 버스운행)*  ~~010-4572-1516 (요포낚시) 가신다고 문의하세요~~~~ 

바다사랑 10-25 2,249
16

2018/4/21 요포선단 승리호 첫출조 우럭조황입니다!!

 안녕하세요?홍원항 요포낚시입니다!! 2018년 요포선단 승리호 첫출조 조황입니다!!그리많은 호조황은 아니지만 출조하신 조사님들 모두들횟감으로 저녁만찬 거리로는 충분한 조황입니다!! 첫출조에 수고하신 조사님들 안녕히 가시고다음 기회에 뵙갰습니다~~  ~~~신분증 지참하지 않으신분은 승선을 하지못하니 꼭 지참하세요~~~   ( 신분증 지참하지않아서 승선 못하시면 환불도 되지않습니다!!) ***왕우럭&광어&열기 출조가 시작되었습니다!!(예약 접수중)**  ~~저희 요포선단은 쭈꾸미 선비만 받고 갑오징어 낚시도 병행 합니다~~~~ 요포낚시에서는 쭈꾸미 채비를 최저 초대박 쎄일가격으로 판매하고 있습니다!!~~ ***참돔 타이러버 출조예약 접수중******광어 다운샷 출조예약 접수중******우럭 어초낚시 출조예약 접수중***                저희 요포선단은 항상 최선을다해 최고의 조황으로 보답 하겠습니다!!           **조황정보와 선상예약은 고객을 위해 최선을 다하는 홍원항 요포낚시로.....​휴 대 폰 : 010-4437-5675   일반: 041-953-5675네비주소 : 충남 서천군 서면 도둔리  860-2번지홈페이지 : http://yopofishing.kr (네이버:요포낚시) *(수도권 지역 낚시전용 리무진 버스운행)*  ~~010-4572-1516 (요포낚시) 가신다고 문의하세요~~~~

바다사랑 10-25 2,271
15

12월15일 승리호 왕우럭 조황!!

안녕하새요?홍원항 요포낚시입니다!!승리호 김선장님 오늘은 바다상황이 좋와서 7분의 조사님을 모시고 왕우럭 사냥하시고 입항했습니다!!씨알좋은 넘드과 계속되는 쌍걸이로 출조하신 조사님 전원 만족한 쿨러 조황입니다~~앞으로도 바다상황만 좋으면 대박조황을 약속 드립니다!!추운 날씨애도 대박조황에 수고하신 조사님들 안녕히 가시고 다음 기회에 뵙겠습니다~~~~~신분증 지참하지 않으신분은 승선을 하지못하니 꼭 지참하세요~~~   ( 신분증 지참하지않아서 승선 못하시면 환불도 되지않습니다!!)***왕우럭&광어&열기 출조가 시작되었습니다!!(예약 접수중)**     ~~저희 요포선단은 쭈꾸미 선비만 받고 갑오징어 낚시도 병행 합니다~~  ~~ 요포낚시에서는 쭈꾸미 채비를 최저 초대박 쎄일가격으로 판매하고 있습니다!!~~ ***참돔 타이러버 출조예약 접수중******광어 다운샷 출조예약 접수중******우럭 어초낚시 출조예약 접수중***               저희 요포선단은 항상 최선을다해 최고의 조황으로 보답 하겠습니다!!          **조황정보와 선상예약은 고객을 위해 최선을 다하는 홍원항 요포낚시로.....휴 대 폰 : 010-4437-5675   일반: 041-953-5675네비주소 : 충남 서천군 서면 도둔리  860-2번지홈페이지 : http://yopofishing.kr (네이버:요포낚시)*(수도권 지역 낚시전용 리무진 버스운행)*  ~~010-4572-1516 (요포낚시) 가신다고 문의하세요~~~~   

바다사랑 10-25 2,060